| SISTEMA | 28/05 | 04/06 |
| Sudeste Centro-Oeste | 32.2% | 31.8% (-1.2%) |
| Sul | 55.4% | 57.8% (4.3%) |
| Nordeste | 63.8% | 62.6% (-1.9%) |
| Norte | 84.3% | 84.4% (0.1%) |
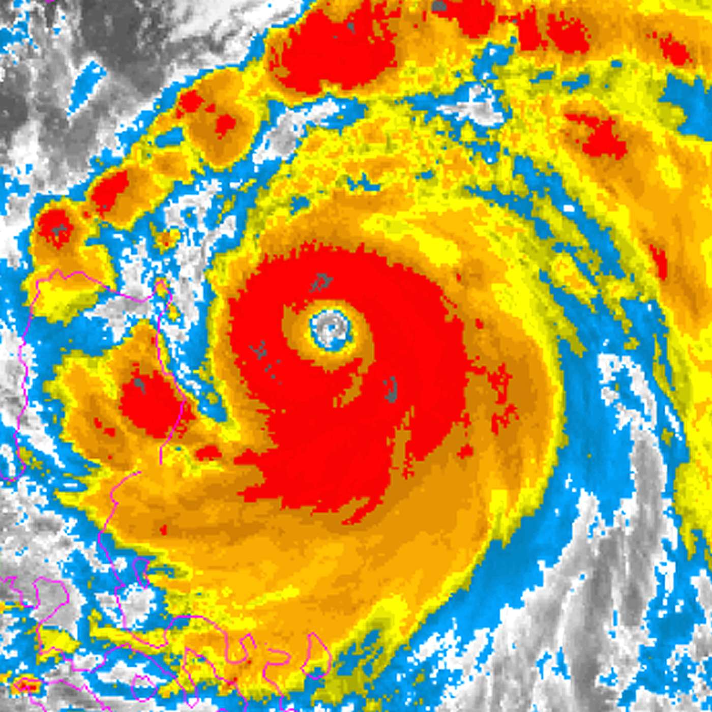
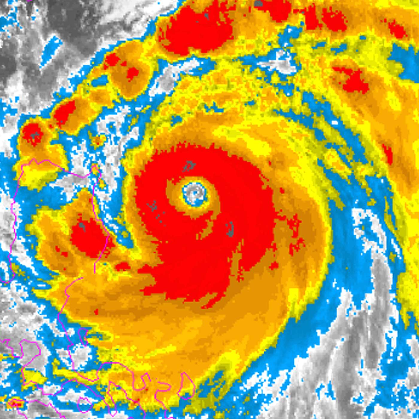
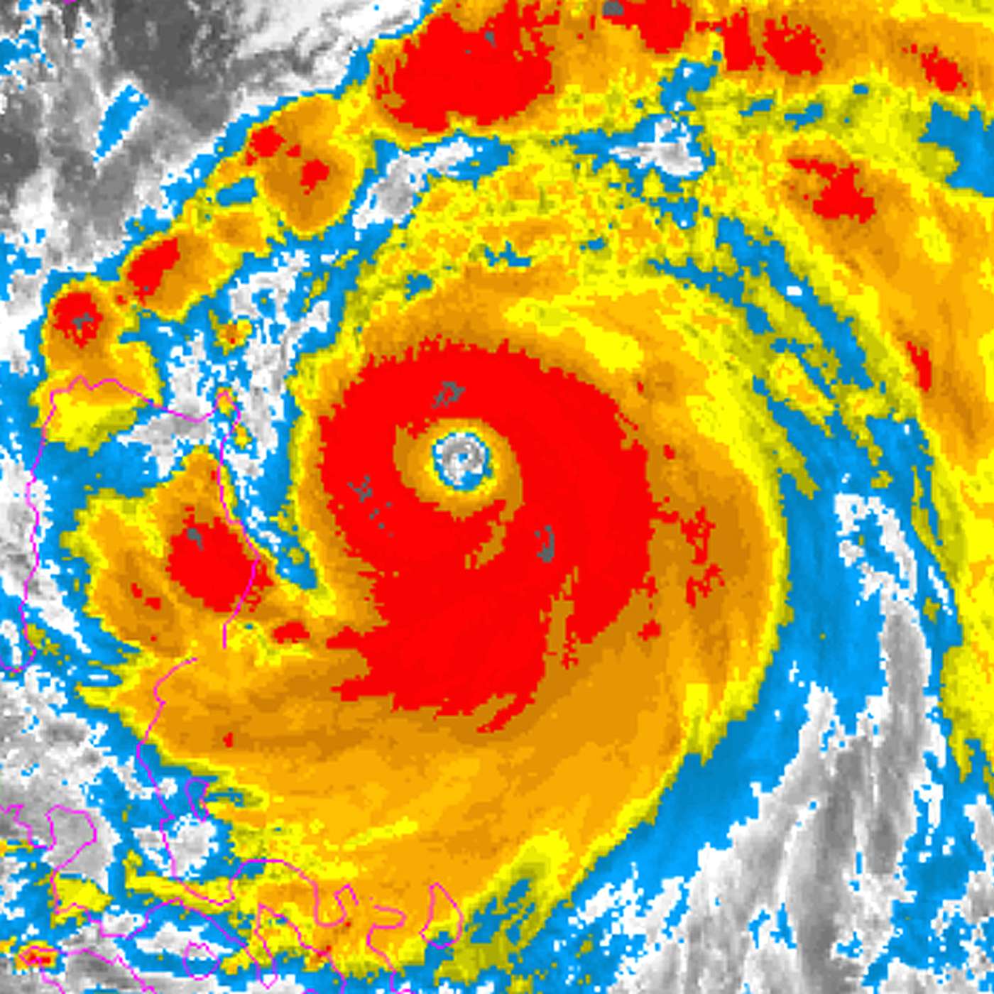
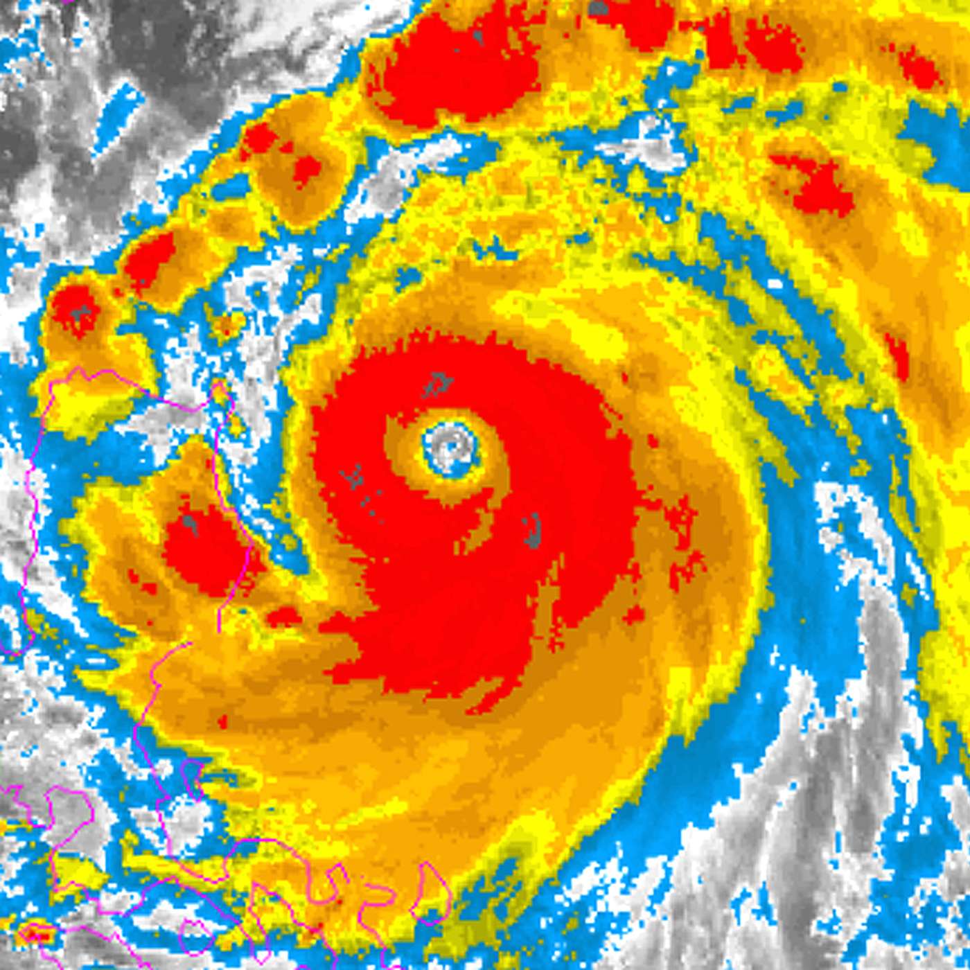
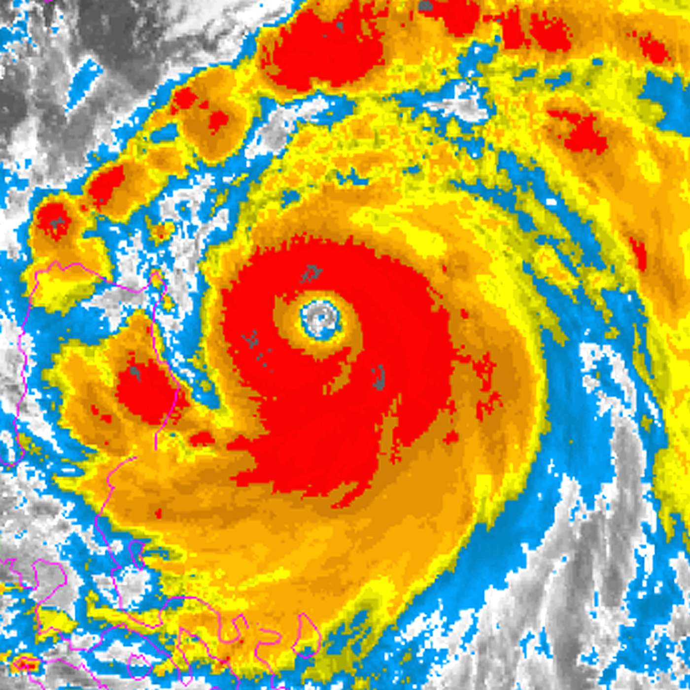
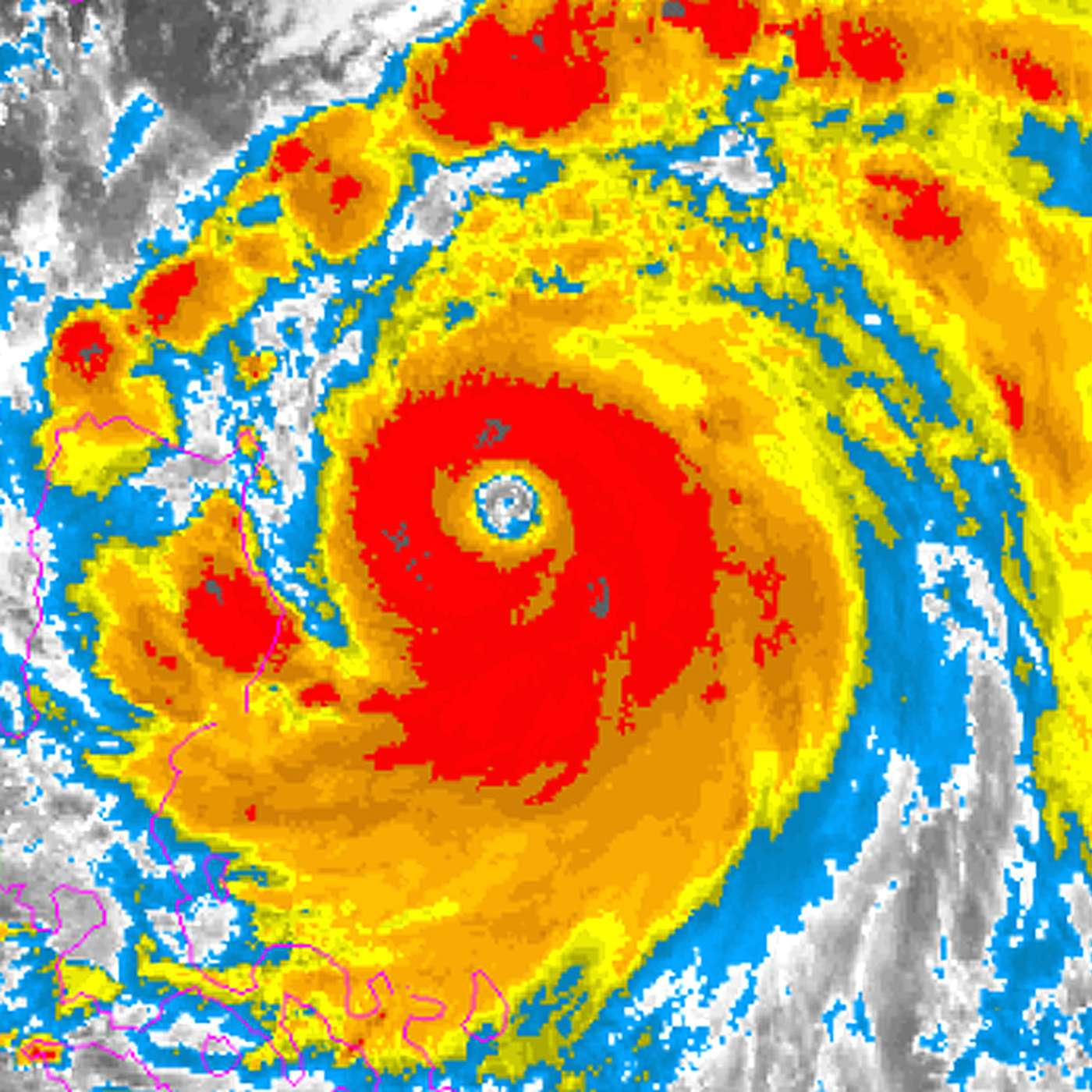
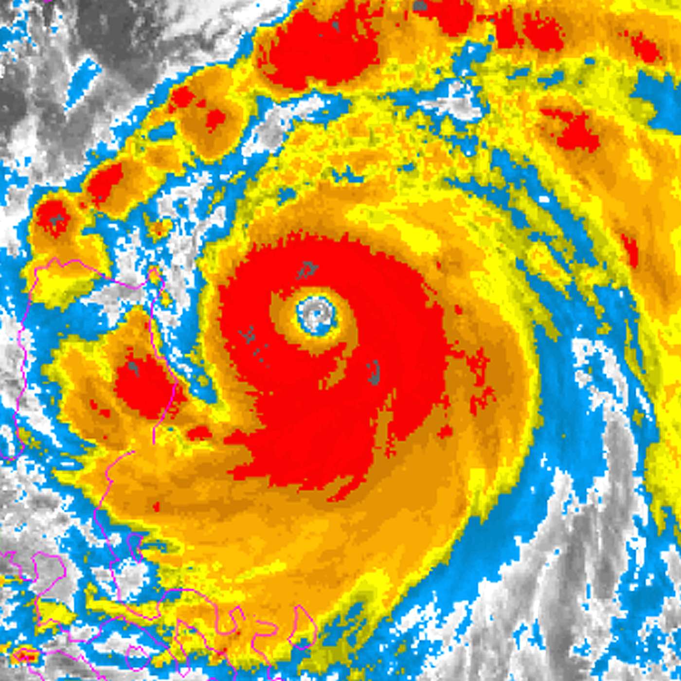
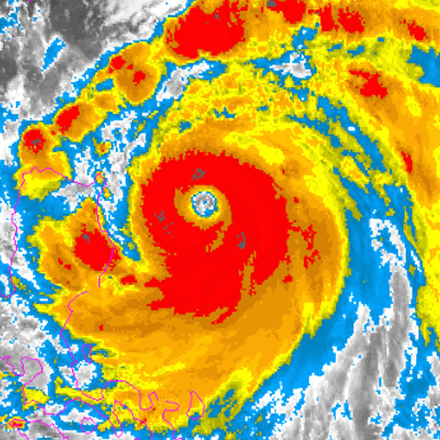
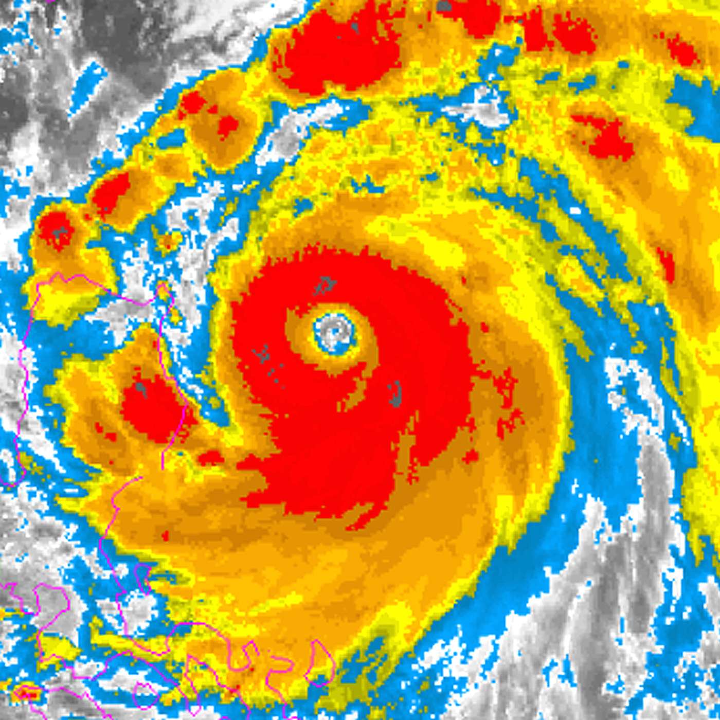
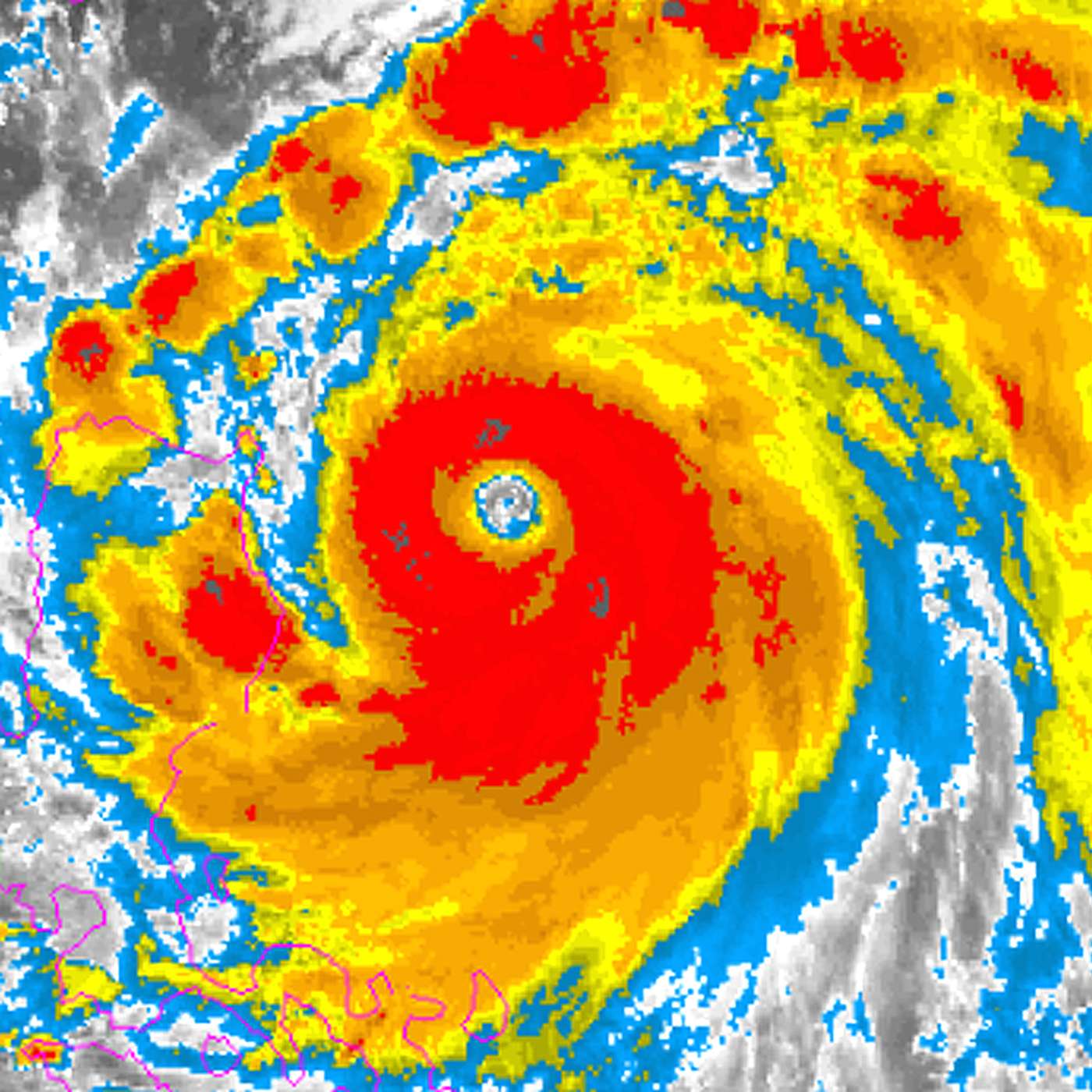
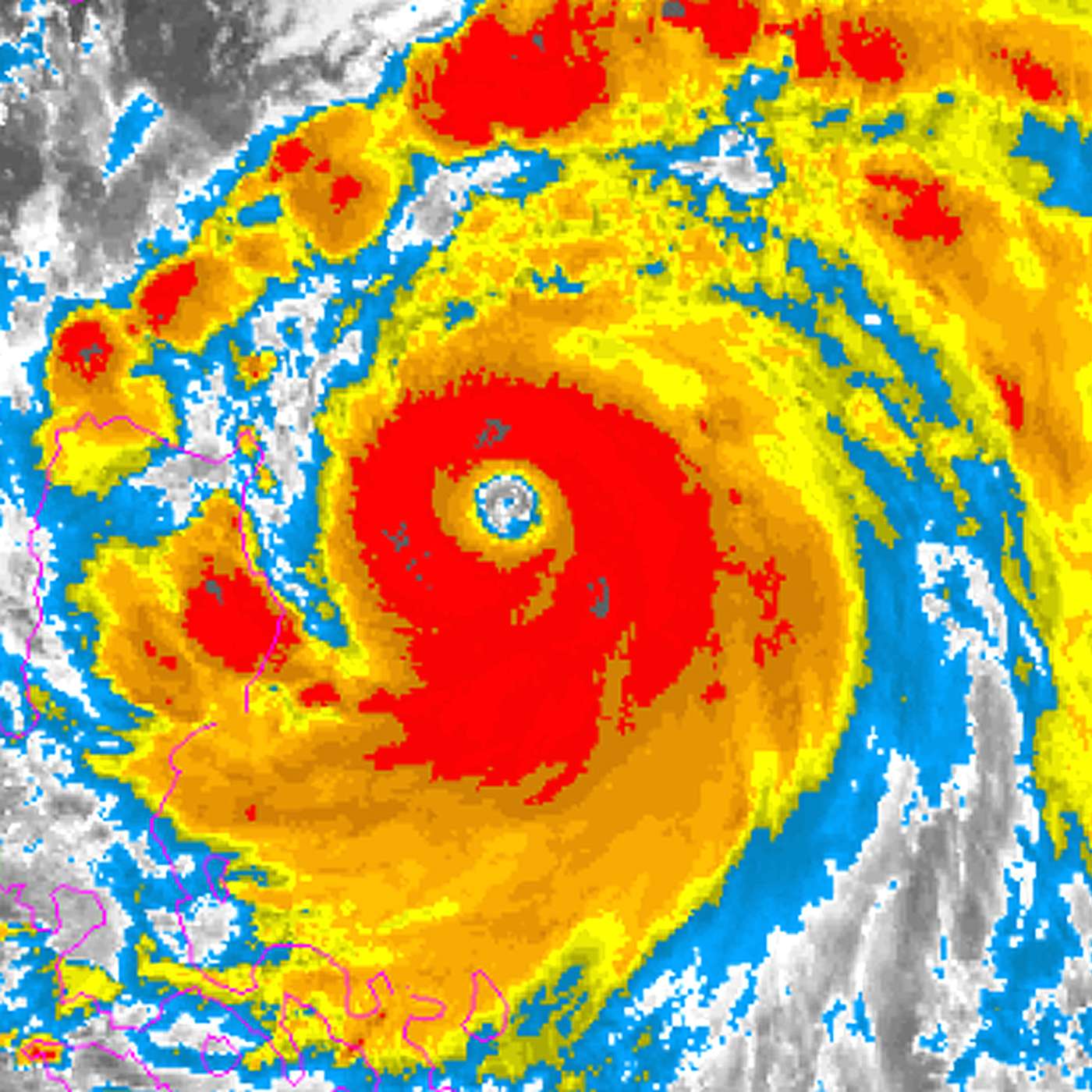
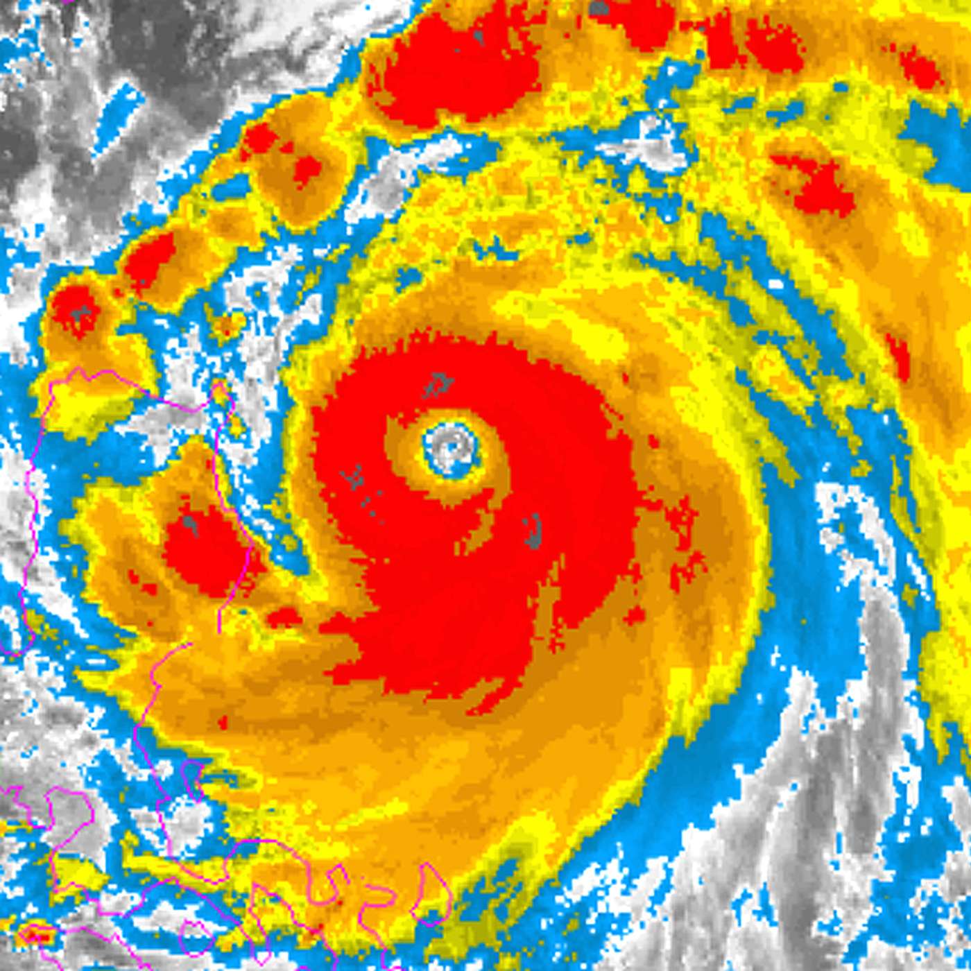
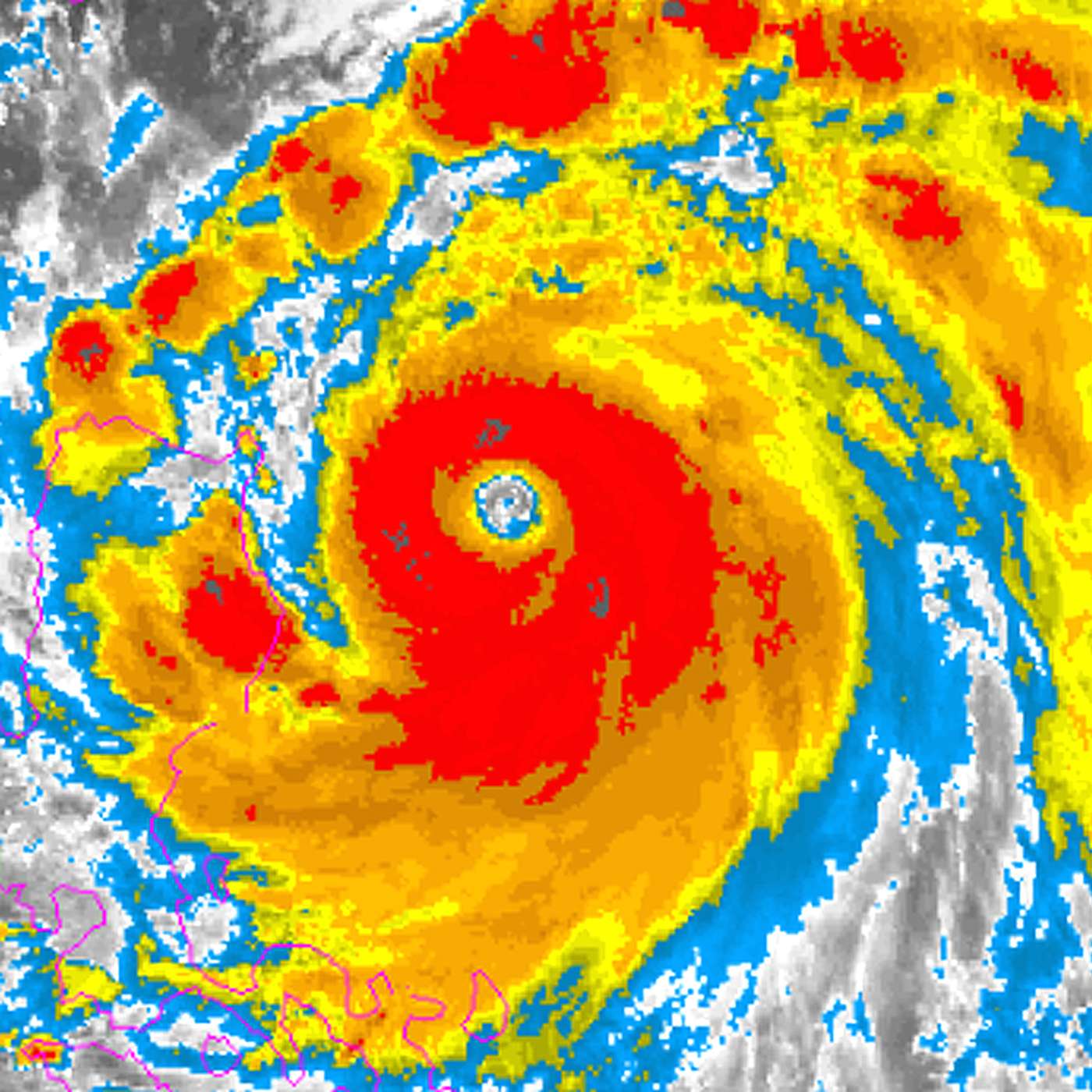
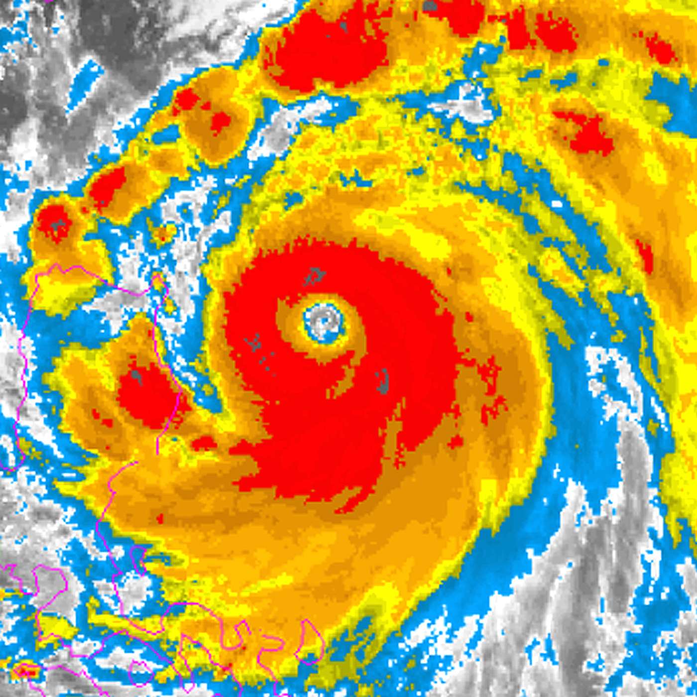
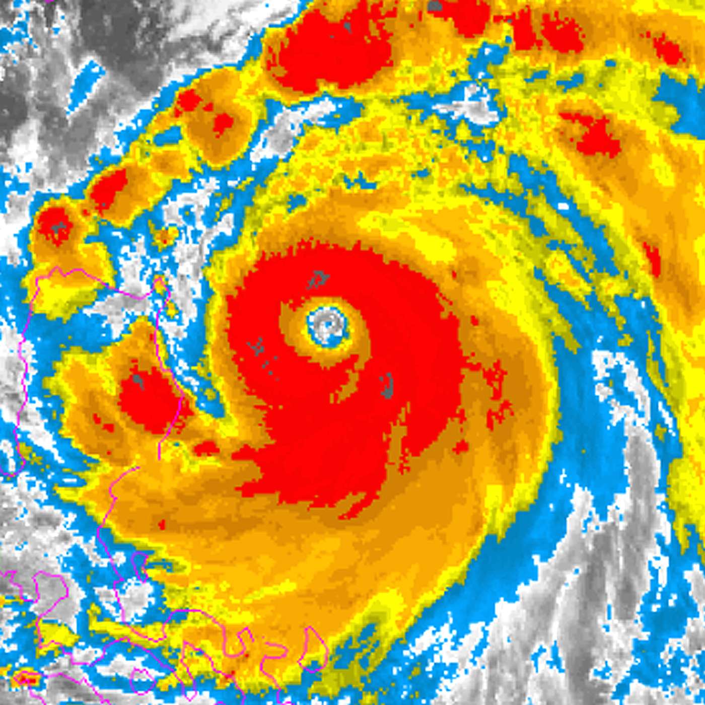
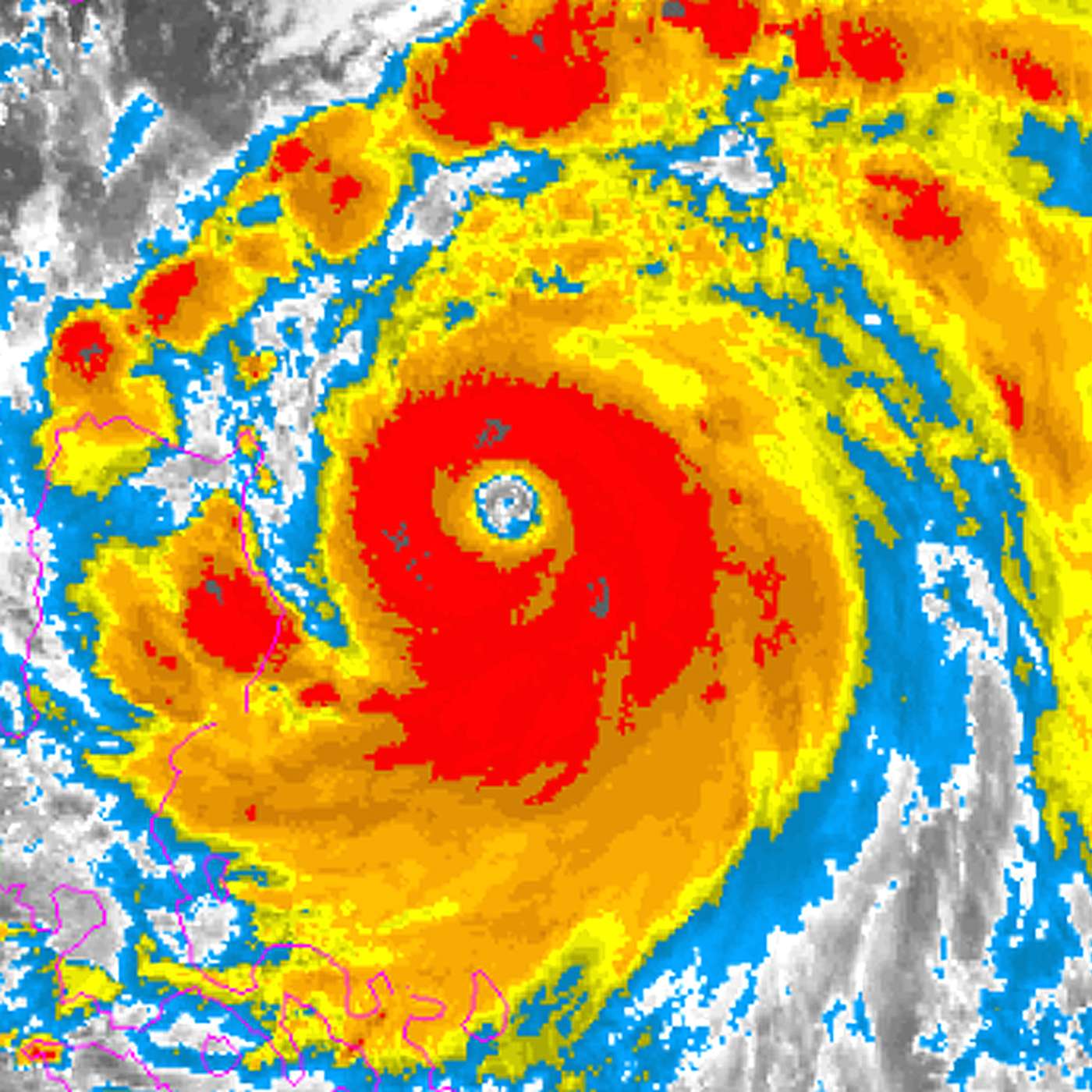
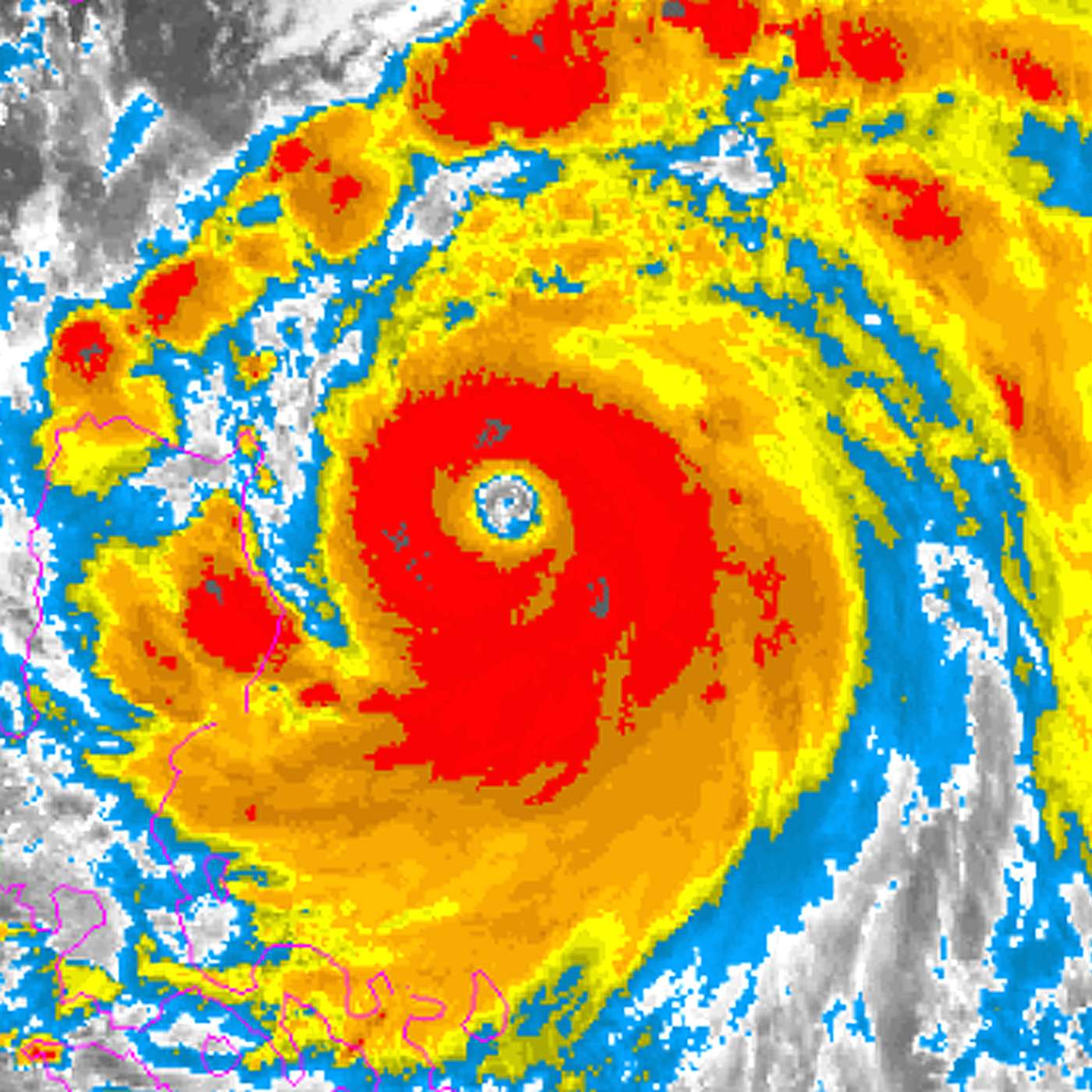
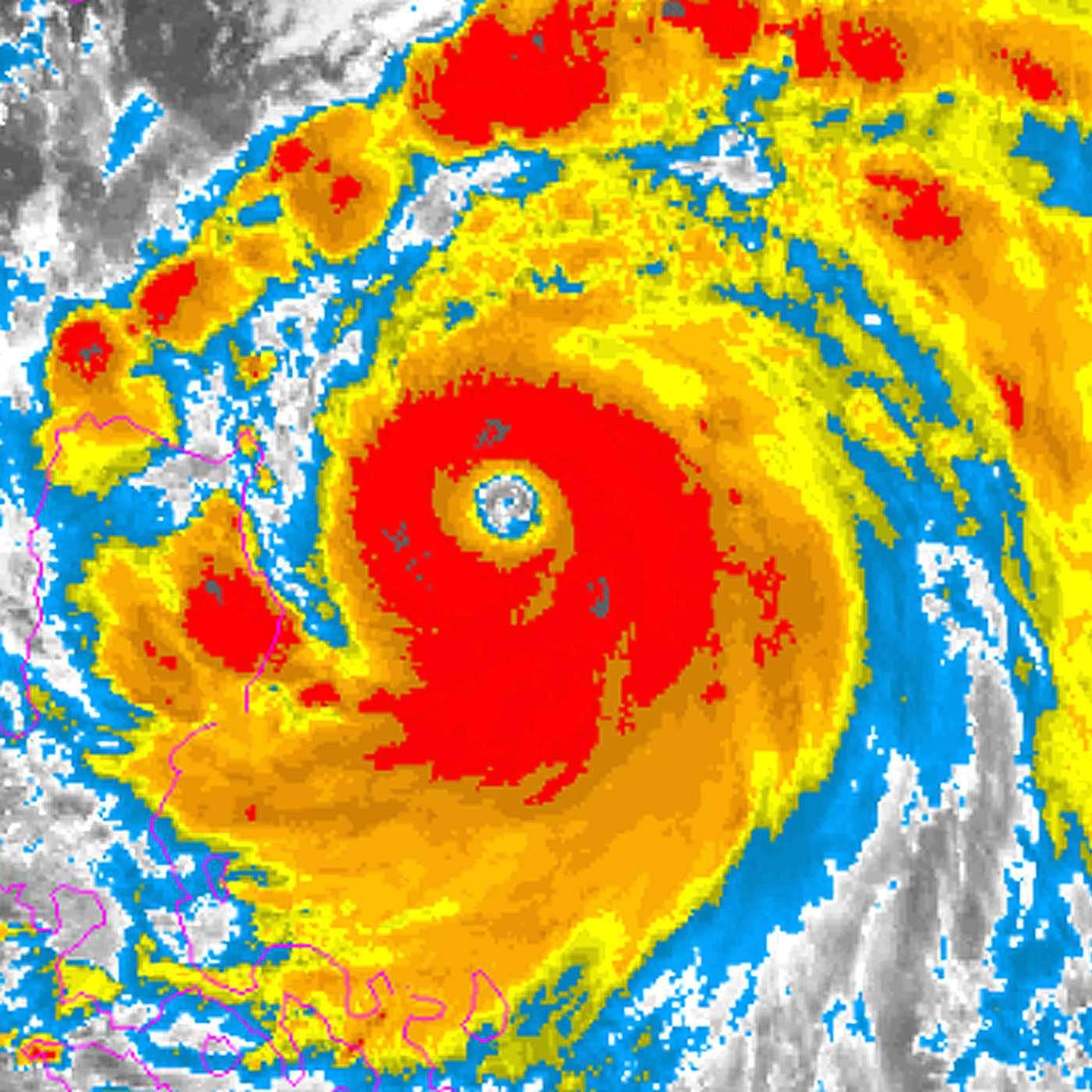
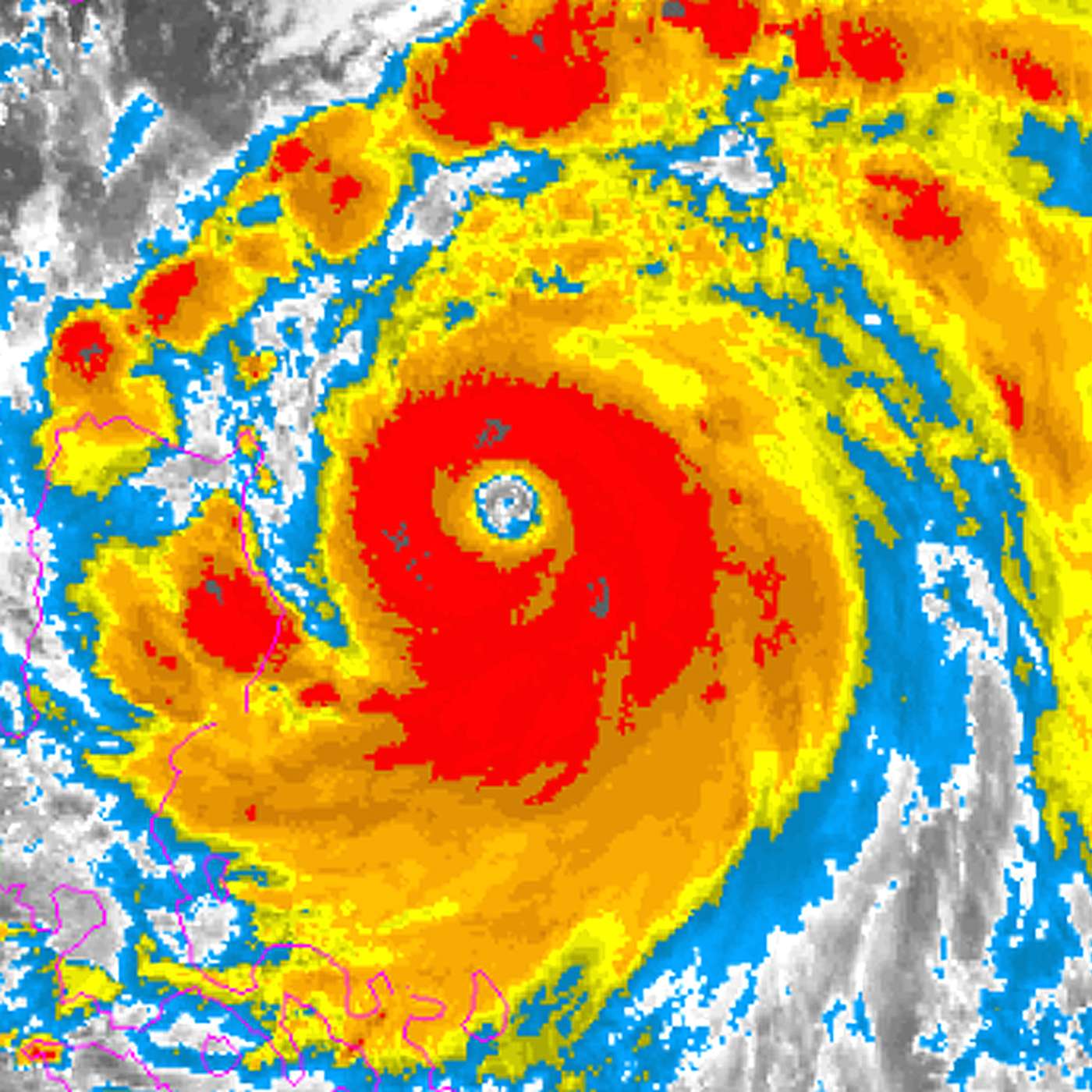
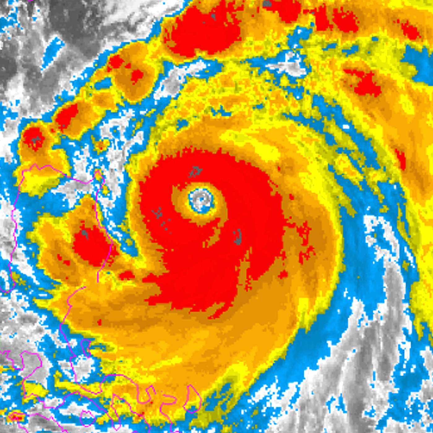
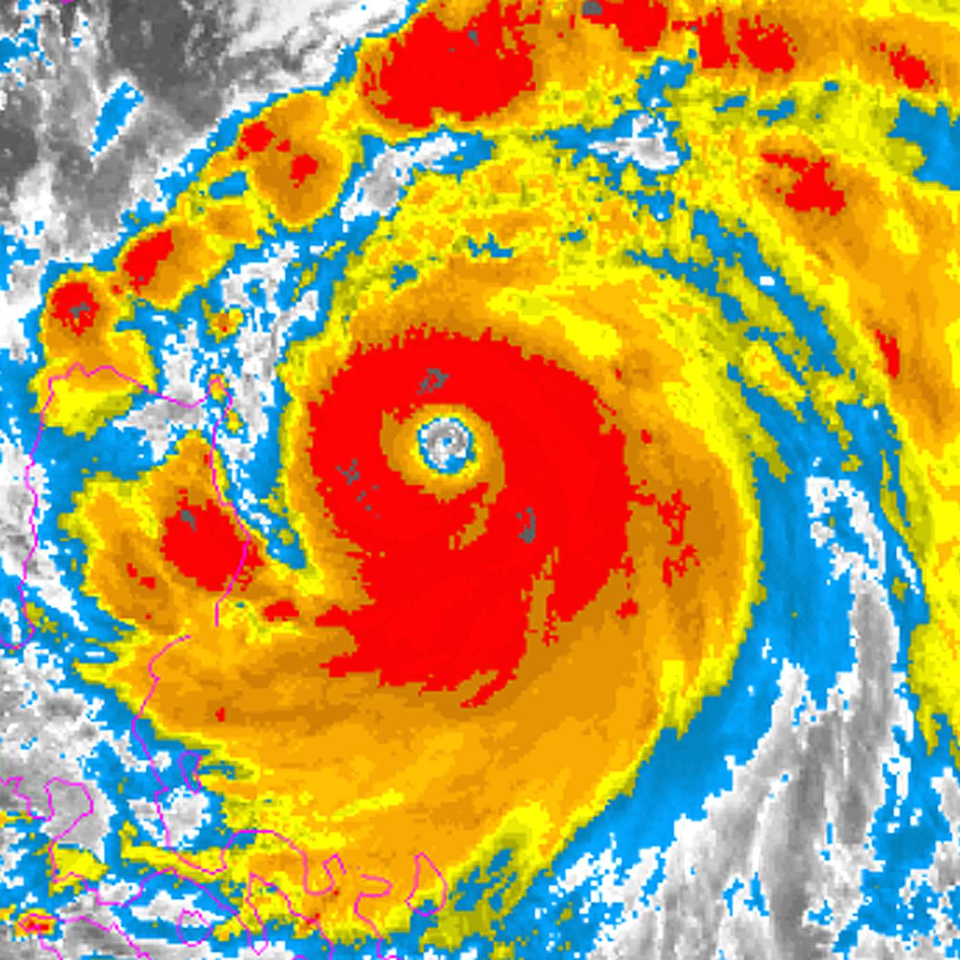
Quantos furacões poderão se formar em 2021?
Diante da maior temporada de furacões da história com 30 tempestades tropicais nomeadas em 2020, surge a preocupação do que pode acontecer este ano no Atlântico. Qual a previsão de furacões para 2021? Confira!...
Importante
Inscreva-se em nosso canal e pressione o sininho. Assim você ficará sabendo, com antecipação, quando houver novos programas ou transmissões ao vivo. Obrigado! :-)
| Capital | Data BRT | Ápice | Distância | OBS |
| AP - Macapá Telescópio Hubble |
06 Jun 04h04 | Az: 96° Elev: 18° |
1383 km | |
| CE - Fortaleza Telescópio Hubble |
06 Jun 04h04 | Az: 330° Elev: 55° |
649 km | |
| MA - São Luís Telescópio Hubble |
06 Jun 04h04 | Az: 71° Elev: 44° |
747 km | |
| PA - Belém Telescópio Hubble |
06 Jun 04h04 | Az: 87° Elev: 25° |
1113 km | |
| PI - Teresina Telescópio Hubble |
06 Jun 04h04 | Az: 34° Elev: 42° |
781 km |

| Data-Hora | Objeto | Distância | Tamanho | Mag. | km/s | Massa | E. Cinética | TNT Equiv. |
| 01/jun/2021 22:44 UTC | Min: 0.75 Nominal: 0.76 | 8.5 | 28.374 | 8.41 | 804 | 26 | 7 | |
| 07/out/2021 13:37 UTC | Min: 0.90 Nominal: 10.69 | 13.5 | 27.4 | 20.73 | 3 mil | 691 | 165 | |
| 01/jun/2021 17:05 UTC | Min: 0.91 Nominal: 2.90 | 26.5 | 26 | 7.70 | 28 mil | 677 | 162 | |
| 17/jul/2021 19:03 UTC | Min: 1.67 Nominal: 15.14 | 13.5 | 27.4 | 13.76 | 3 mil | 292 | 70 | |
| 04/jul/2021 06:45 UTC | Min: 2.63 Nominal: 2.82 | 23 | 26.3 | 4.85 | 19 mil | 153 | 37 | |
| 05/jun/2021 12:28 UTC | Min: 2.96 Nominal: 2.97 | 21.5 | 26.418 | 15.34 | 15 mil | 1637 | 392 | |
| 06/jun/2021 14:57 UTC | Min: 3.03 Nominal: 3.04 | 17.5 | 26.885 | 6.99 | 8 mil | 139 | 34 |
No próximo dia 7 o asteroide 2015 TQ21 passará a apenas 345 mil km da Terra. O objeto se desloca a 20 km/s e tem cerca de 13 metros de comprimento.
FALCON 9 DEB
De acordo com a previsão, a reentrada do objeto ocorrerá Domingo, 06 Jun 2021 as 13:55 UTC, acima das coordenadas mostradas no mapa.
Oregon, a 143 km de Gold Beach
Destaque em 48 horas. Atualizado em 05/06 20:10
Mag=Magnitude. Prof=Profundidade. 2K indica a quantidade de eventos registrados em um raio de 2 km do epicentro.
Clique nos cabeçalhos para classificar ou clique na setinha para ver mais eventos ou detalhes.
Neste momento, a velocidade do vento solar está oscilando entre 300 e 400 quilômetros por segundo.

MANCHAS SOLARES

BURACOS CORONAIS

CORONÓGRAFO LASCO C3














